State College Planning Commission last week heard an overview of preliminary plans for a long-discussed student housing project on a portion of Westerly Parkway Plaza.
Landmark Properties plans to construct The Retreat at Westerly Parkway, a 142-unit development on the east side of the plaza, where two now-vacant commercial buildings currently stand, and on an empty lot along Waupelani Drive behind the plaza. Landmark has developed or manages multiple other student housing projects in the State College area, and is planning another 12-story building downtown.
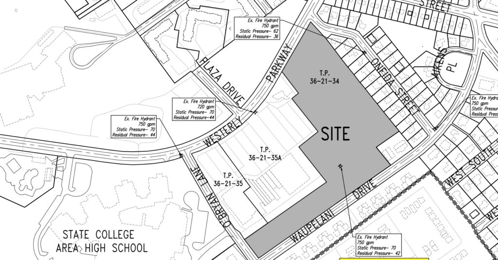
The existing plaza property would be replotted from four parcels to three, with Landmark acquiring one 11-acre parcel from property owner State College Joint Venture to construct the new development.
The commercial building on the west side of the plaza that houses Weis Markets and other businesses, as well as the Toasted Bagel Cafe building, would remain, along with their existing entrances and parking, said Mark Toretti, of project engineer PennTerra.

Plans for the new development include razing the two dilapidated commercial buildings and constructing 21 residential buildings of two- and three-stories, with a mix of two- to five bedroom townhomes and flats for a total of 546 beds. The development would also include a 10,423-square-foot clubhouse, pool, gazebos, grills and other amenities.
Residential buildings would be constructed with a mix of materials including cementitious product board and batten and lap siding, simulated shake roofing and masonry, Landmark design manager Dale Hope said. Five color schemes would be utilized.
Building heights are mixed and stepped so there is a variety of scale and depth, Hope added, noting that Landmark is designing the property with a plan to own it long-term.
“All of these elements, I think if you start stacking them on top of each other, the variety of scale, the change in depth, the materiality, all of a sudden you begin to weave this community that has its very kind of special identity, if you will,” Hope said.
A total of 418 parking spaces are included in the plan, two more than required, along with EV charging and 50 bicycle parking spaces spread out across 10 racks. Planning commission Vice-Chair Anita Genger said she does not believe the plans include sufficient bicycle parking.
Entrances and exits to the property would be from Westerly Parkway and Waupelani Drive, across from the original Retreat development (which was developed by Landmark but now has a different owner). A right-out exit only would be located at the corner of Waupelani Drive and O’Bryan Lane.
Several planning commission members raised concerns about traffic impacts.
“One of my concerns is the additional traffic, specifically when the high school is in session,” commission member Mallory Meehan said. “I know that Westerly Parkway gets really backed up, so we’re now going to be adding additional traffic flow outside there when assuming these students are also trying to get to campus if they are driving and not walking.”
A traffic impact study is being done and is “going to take awhile,” borough Planning Director Ed LeClear said. It will examine the entrances as well as the O’Bryan Lane, Plaza Drive and South Atherton Street intersections.
“We’re all very aware of what’s happening at the high school right now,” LeClear said. “And I know the traffic engineers are going to be looking at that with a pretty significant amount of scrutiny to make sure that if there is impact, what are the mitigation options.”
Hope and Toretti said that based on a market study and talking with student housing managers the expectation is that most residents will use CATA bus service to get to campus, or walk.
“We have an agreement with CATA for CATA service for the residents of the development to, I think, hopefully minimize the amount of actually daily traffic leaving to go to class, that they’ll be able to take the CATA bus. So that’s also something that will be included with this,” Toretti said.
Toretti anticipates the bus stop will be on Waupelani Drive, but that will be dependent on a review of the traffic study and CATA’s decision.
Noise and light impact on neighboring homes was another concern raised by planning commission members.
A landscape buffer will be established to shield homes on Oneida Street, Toretti said, adding that the existing elevations will have the new buildings well below the neighboring residences. Hope also said that the property will have a code of conduct for noise violations, with a three-strikes policy that escalates from fines to eviction.
The new development is in the CP-3 Planned Commercial District zone, but includes no commercial component. LeClear said the developers argued the zoning does not require mixed-use on the site because residential is a permitted use in the zone. The borough solicitor advised that the plan should be reviewed as submitted, LeClear said.
Eliminating an existing commercial space, though currently vacant, also raised concerns among some commission members.
“I think that’s a little bit of a shame because I think that that’s really taking away opportunities for other businesses and areas that we don’t necessarily have for businesses to go outside of downtown,” Meehan said.
Toretti said the developers are hopeful the remaining shopping center and the residential development will be mutually beneficial to each other.
“What we feel is with the shopping center being right adjacent to it, I think hopefully both of these uses, the existing shopping center that’s remaining and the proposed development can feed off of one another as far as providing some use for the shopping center from the residences and at the same time help to keep that area of the shopping center occupied with businesses,” Toretti said.
Residential units will be rented at market rate by the bed. Landmark plans to pay a fee in lieu to meet the borough’s inclusionary housing ordinance requirements instead of having affordable housing units on site.
“I really do think that if we are losing commercial and we’re losing that aspect, at least we could maybe bring in some community need which is definitely that inclusionary housing,” Meehan said. “While the fee in lieu serves some point, obviously existing developments where people can actively live and actively work in our community is really what we’re trying to get to. So i think you would see a lot more favorable approval if that is something that you are likely to consider.”
Public areas with landscaping and seating will be located along Westerly Parkway and O’Bryan Lane to meet open space requirements, Toretti said.
A final land development plan and the traffic study will be required before the project can move forward.
The eastern portion of the Westerly Parkway Plaza has long been poised for redevelopment as a housing complex.
The last remaining business on the site of the planned development, The Frame Factory & Gallery, moved to Bellefonte in August after owner Bill Ebken said he was notified by the property owners that they planned to demolish the two buildings there.
Ebken said the New York-based real estate group that owns the property had been mentioning plans to raze those buildings for at least 10 years.
A real estate agent for the property said in 2020 that the owners planned to tear down the two buildings and construct a mixed-use development for student housing and commercial space.
